Anlägga parkeringsplats
Här kan du se vilka handlingar du behöver lämna in och hur ritningarna ska se ut
Om bygglovet
Anläggning av parkeringsplats kräver bygglov. Ett undantag är om parkeringsplatsen är avsedd för ett en- eller tvåbostadshus och placeras på den egna fastigheten. Då krävs inte bygglov, men om du ändrar marknivån mer än 0,5 meter behöver du marklov.
Ansökan
Du ansöker via e-tjänst.
E-tjänster - bygga nytt, bygga om eller riva
Fackmässiga ritningar
Ritningarna som bifogas med ansökan ska vara:
- Skalenliga och måttsatta ritade med datorbaserat verktyg (CAD) eller noggrant med linjal.
- Ritade på vitt olinjerat och orutat papper.
- Svartvita.
- Ritningarna ska innehålla skallinjal och ritningshuvud.
Marksektionsritning skala 1:100
Marksektionen visar hur marknivån varierar över parkeringsplatsen.
Sektionsritningen redovisas i skala 1:100 och ska innehålla marknivå över hela parkeringen och streckad linje som visar tidigare marknivå om den ändras, relevanta plushöjder, befintliga plushöjder - visa om de ändras, skallinjal samt ritningshuvud.
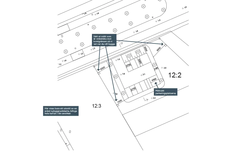
Situationsplan skala 1:400 eller 1:500
En situationsplan innehåller detaljerad information om tomten/fastigheten och visar var parjeringsplatsen är placerad i förhållande till tomtgränser och övriga byggnader. Det är viktigt att placeringen och måttsättningen är korrekt.
Situationsplanen redovisas i skala 1:400 eller 1:500 och ska innehålla parkeringsplats med relevanta mått samt måttsättning till tomtgräns med minst två mått som är vinkelräta mot tomtgränsen.
Kartan för situationsplanen kan du hämta i kommunens kartjänst Nässjökartan. Genom att söka på din fastighetsbeteckning får du kartan över tomten/fastigheten som du kan skriva ut i pdf-format.
Nässjökartan Länk till annan webbplats, öppnas i nytt fönster.
Nybyggnadskarta
Ärendet kan behöva kompletteras med en nybyggnadskarta. Handläggaren som prövar ditt ärende tar kontakt med dig och ber dig komplettera med detta. Här kan du läsa mer om vad en nybyggnadskarta är,
Nybyggnadskarta
Handläggning av ditt ärende
Vi ska handlägga ditt ärende inom 10 veckor. För att vi ska kunna bedöma din anmälan är det viktigt att den är komplett med fackmässiga ritningar. Studera exempelritningarna noga för att se vad som ska ingå. Om din ansökan inte är fullständig kan vi begära komplettering.
Kontakt
Samhällsplaneringskontoret
0380-51 80 00
samhallsplaneringskontoret@nassjo.se

